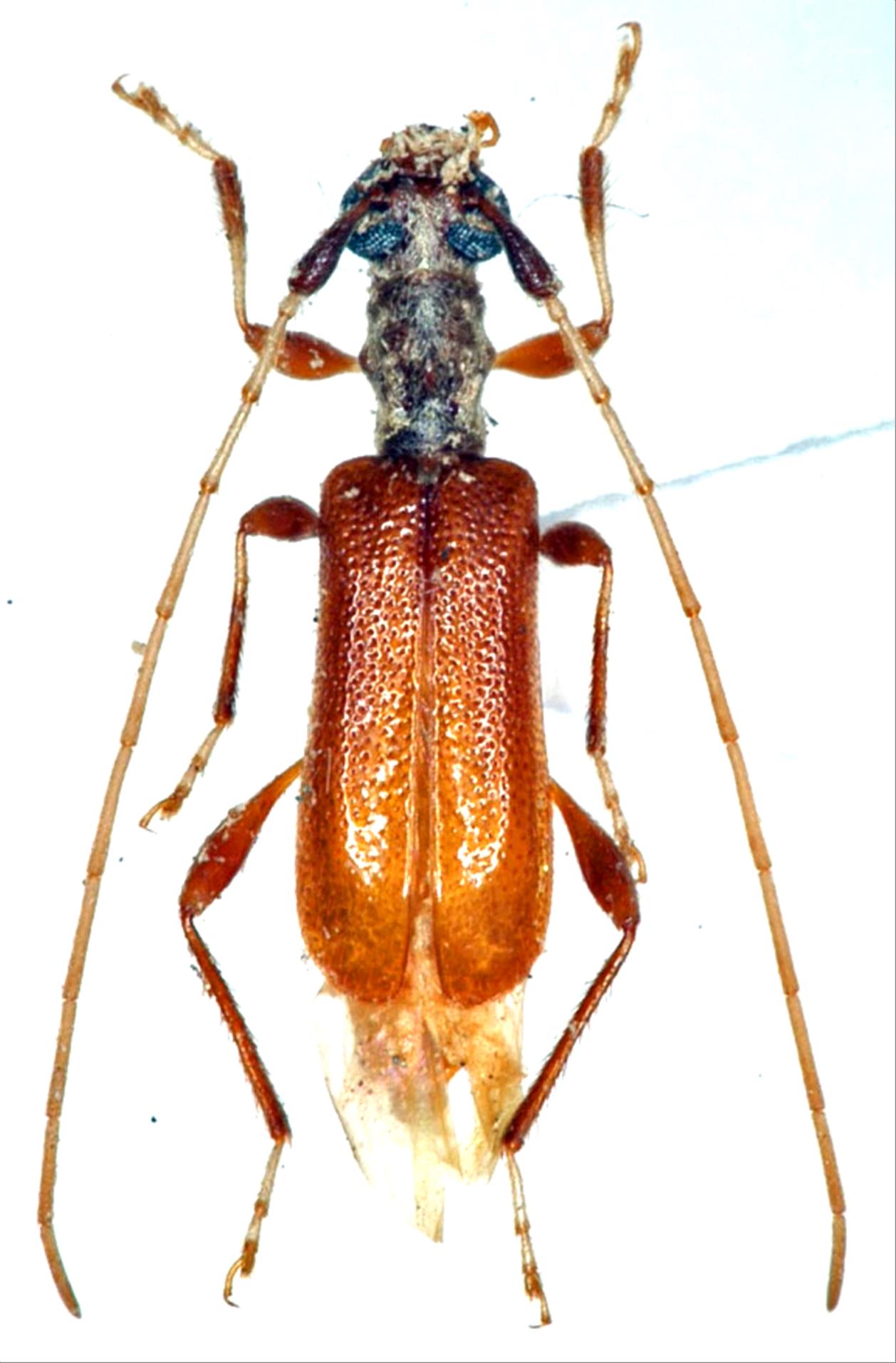
コロンビア産 ルリオニカミキリ 61mm コロンビア産 ルリオニカミキリ 61mm
(4419件)
Pontaパス特典
サンキュー配送
6000円(税込)
60ポイント(1%)
Pontaパス会員ならさらに+1%ポイント還元!
送料
(
)
4402
配送情報
お届け予定日:2026.05.03 3:27までにお届け
※一部地域・離島につきましては、表示のお届け予定日期間内にお届けできない場合があります。
ロットナンバー
6174927201
お買い物の前にチェック!
Pontaパス会員なら
ポイント+1%
ポイント+1%
商品説明


全て野外採集の学術研究用の乾燥標本です。\rデータは全てに付属しています。
| カテゴリー: | ペット用品>>>標本>>>その他 |
|---|---|
| 商品の状態: | やや傷や汚れあり","目につく傷や汚れがある |
| 配送料の負担: | 送料込み(出品者負担) |
| 配送の方法: | 佐川急便/日本郵便 |
| 発送元の地域: | 未定 |
| 発送までの日数: | 2~3日で発送 |
お店の情報
7,367
連絡・応対
4.3
配送スピード
4.3
梱包
4.3










